ブログ
鯛ラバ爆釣!
ども!ワッキーです!!
マリーナスタッフのマリーナスタッフによる釣果情報!

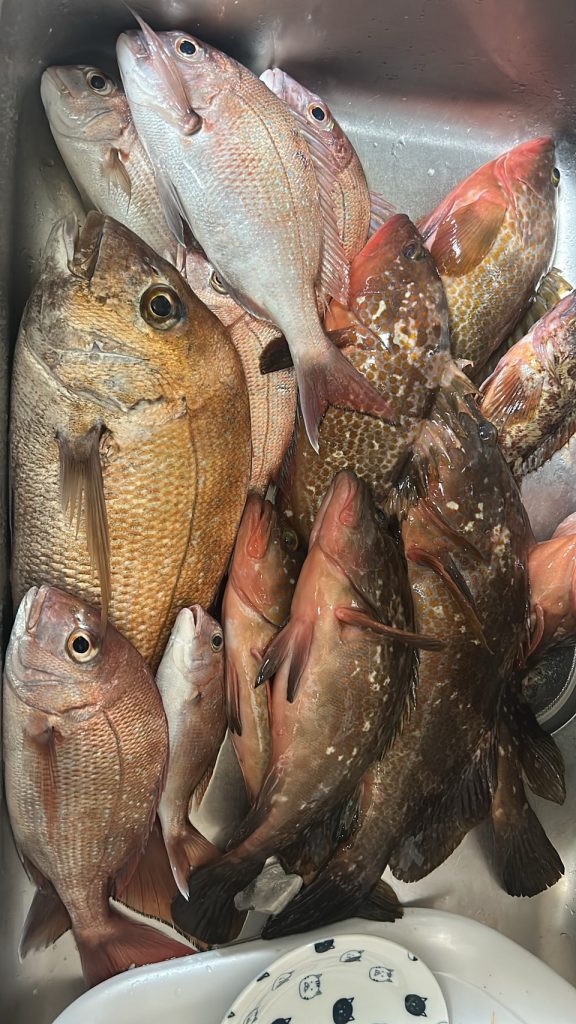
堂々たる大漁!!!!!!!
午前中の釣果で非常にコスパ◎
豊島周辺!
水深も浅場の為、釣りやすく最高ですね!
皆様からの釣果情報もお待ちいたしております!
ではでは~
ボート販売・保管、レンタルボート、資料請求など
お気軽にお問い合わせください。
固定電話
0120-76-2120
営業時間
9時~18時20分 (4~9月)
※10~3月は短縮
スマートフォン・その他
086-276-2121
営業時間
9時~18時20分 (4~9月)
※10~3月は短縮
WEBでのお問い合わせ
お問い合わせ